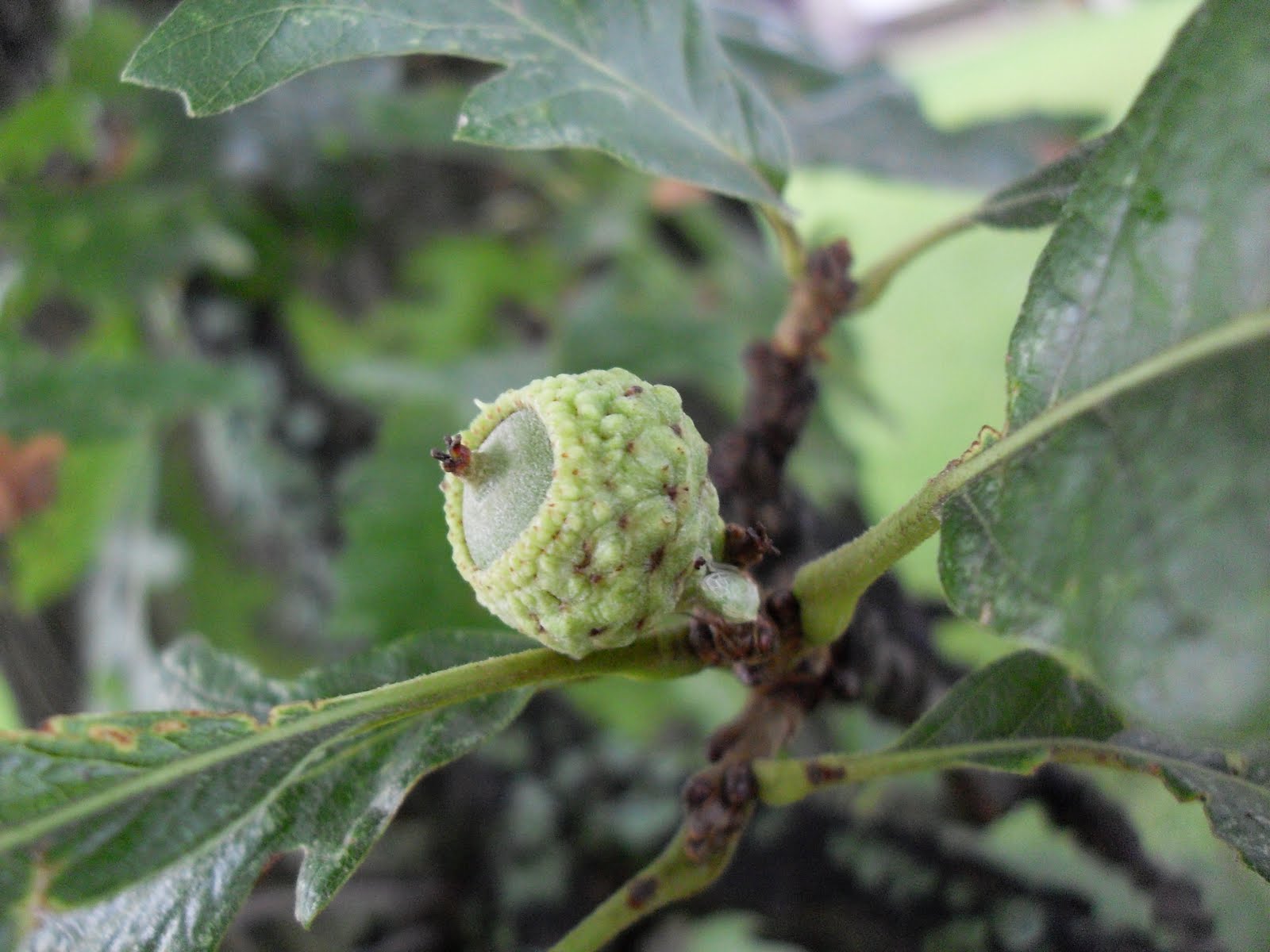
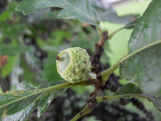
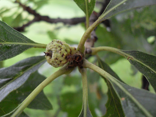
I ventured out this morning after a day of rain to see what was waiting to be admired.
Say among the nations, “The LORD reigns.”
The world is firmly established, it cannot be moved;
He will judge the peoples with equity.Let the heavens rejoice, let the earth be glad;
let the sea resound, and all that is in it;let the fields be jubilant, and everything in them.
Then all the trees of the forest will sing for joy;they will sing before the LORD, for He comes,
he comes to judge the earth.
He will judge the world in righteousness
and the peoples in his truth.
Psalm 96: 10-13



Heather,
I have lens envy! Which lens is it? I want a macro so badly.
Jo,
Oh, you make me laugh!
It's a cheap Samsung point and shoot that Shane bought for me two Christmas' ago. It's just taken me this long to read the manual and experiment with all the different settings. I'm sure your camera can do good close-up if you mess around with it.
Now that I've been using it like this, Shane has told me I don't need a digital SLR. 🙂 Oh well, I'm enjoying this one right now.